Top News
-
October 28, 2025
Francesca Albanese, U.N. special rapporteur, briefs reporters at UN Headquarters. Credit: Loey Felipe/U.N. Photo.Danny Danon, the Israeli ambassador to the United Nations, directed some of the harshest language he has used to date against Francesca Albanese, a United Nations special rapporteur, or independent adviser, with a long history of anti-Israel remarks.
“You have tried to curse Israel with lies and hatred, but your poison has failed,” he told Albanese, as a U.N. committee discussed a report she penned that Danon said “vilified Israel and blamed countries that support it.”
“You are a witch, and this report is another page in your spell book,” he said. “You wrap your bias in the language of law, hoping it will hide what it really is: Hamas propaganda.”
-
October 28, 2025
Members of the al-Qassam Brigades, the military wing of Hamas, stand at the site where they, along with Egyptian workers and machinery, claim to be searching for the bodies of hostages in Nuseirat, Gaza Strip, October 28, 2025. (AP Photo/Abdel Kareem Hana)A wave of Israeli airstrikes was reported Tuesday evening in Gaza City after Israeli officials vowed to respond to an attack on troops in south Gaza and Hamas’s failure to return the bodies of hostages still held in the Strip.
There was no immediate comment from the Israel Defense Forces on the strikes, reported by Palestinian media, which came hours after Israeli troops stationed in southern Gaza’s Rafah came under fire by terror operatives.
Troops returned fire at the attackers, and Palestinian media also reported Israeli artillery shelling in the Rafah area. Hamas later denied involvement in the shooting.
-
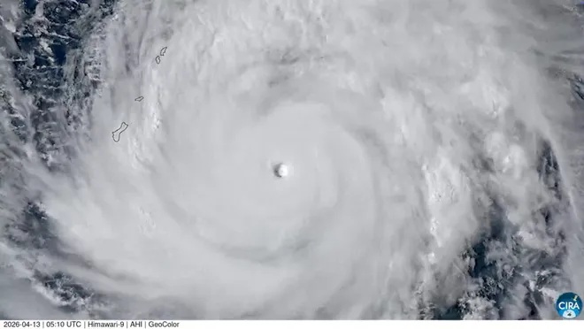
October 28, 2025

(image: Weather.com)
Hurricane Melissa is making a historic, catastrophic Category 5 landfall in Jamaica today with life-threatening flash flooding, landslides, destructive winds and storm surge in one of the strongest landfalls on record anywhere in the Atlantic Basin.
Its maximum winds have increased to 185 mph, with a pressure now at 892 millibars, as measured by a morning Hurricane Hunter mission. This places it tied with the Labor Day storm in 1935 for the third most intense Atlantic Basin hurricane of all time based on pressure. The storm is tied for the second strongest storm based on winds, only behind Allen in 1980.
The weather is deteriorating rapidly in Jamaica. Wind gusts from 50 to 60 mph have been clocked in both Kingston and Montego Bay.
Torrential rain is now pummeling the island, and some far outer rainbands are also soaking parts of southwestern Haiti and eastern Cuba.
-
October 28, 2025

(photo: KOKO / Israel Hayom)
Prime Minister Benjamin Netanyahu was expected to convene a security consultation later Tuesday to discuss how to respond to Hamas' conduct after the terror organization handed over a body that the National Institute of Forensic Medicine could not identify, with DNA results not matching any of the deceased hostages still in the terror group's captivity.
Netanyahu was testifying Tuesday morning in his trial at the Tel Aviv District Court, and the meeting was expected to occur after the testimony concluded. The prime minister was expected to meet with senior security officials to address Hamas' repeated violations of the ceasefire agreement.
Hamas has yet to return 13 deceased hostages still in its possession. Monday evening, Hamas transferred to the Red Cross, and from there to Israel, the coffin of someone the terror organization claimed was one of the 13 deceased hostages still held.
-
October 27, 2025
A dire situation is unfolding in the Caribbean as Category 5 Hurricane Melissa is forecast to make a right, northward turn and cross Jamaica like a giant buzzsaw and firehose at the same time. AccuWeather meteorologists continue to warn of the consequences of such an event, which could result in a humanitarian crisis with great loss of life and long-term devastation due to tremendous flooding, mudslides and high winds.
As of the latest advisory as of mid-afternoon on Monday, it was found that maximum sustained winds in Melissa's eyewall had increased to 175 mph, making it the strongest hurricane of the year for the Atlantic basin and perhaps the most intense hurricane in terms of central pressure for so late in the season.
"People choosing to ride out the storm in unsafe areas, or those who are unable to move out of harm's way, will face great peril," AccuWeather's Chief Meteorologist Jon Porter said. "An extremely urgent humanitarian crisis may follow. The devastation from the electricity infrastructure alone may take months to repair. Food refrigeration and safe drinking water may not be available for an extended period."
[Note: Please keep this in prayer.]
-
October 27, 2025
(photo: AP)King Abdullah II of Jordan has cautioned that any international force deployed in Gaza under the ceasefire plan proposed by U.S. President Donald Trump should focus solely on "maintaining" peace, not "imposing" it.
In an interview with the BBC, the Hashemite monarch emphasized the importance of this distinction: “We hope it will be a peacekeeping mission, because if it is an enforcement mission, no one will want to get involved.”
Peacekeeping operations, according to the United Nations, operate under strict rules that limit the use of force to self-defense or protecting the mission’s mandate. In contrast, peace enforcement missions, requiring a Security Council resolution, may involve active military intervention.
-
October 27, 2025
US Secretary of State Marco Rubio speaks to reporters as U.S. President Donald Trump stands next to him aboard Air Force One en route to Tokyo, Japan, for the second stop on his Asia tour, October 27, 2025. (photo: Evelyn Hockstein, Reuters)The ongoing ceasefire in Gaza does not obligate Israel to refrain from taking defensive action, United States Secretary of State Marco Rubio said, addressing Israel's Saturday strike on a Palestinian Islamic Jihad terrorist in central Gaza.
Rubio's comments came as he accompanied US President Donald Trump on an Air Force One flight on Monday night.
Rubio defended the strike, stating that "all of the mediators agree" that they "don't view [the strike] as a violation of the ceasefire."
-
October 27, 2025
(image: Weather.com)There has been rather strong language used when communicating Melissa’s impact to Jamaica, and rightfully so.
The National Hurricane Center warned on Saturday, “Melissa is still expected to make landfall in Jamaica as an upper-end Category 4 hurricane, which could be the strongest direct landfall for the island since tropical cyclone record keeping has been made in the Atlantic Basin.”
While Melissa could make landfall as a high-end Category 4 storm or even a Category 5, the practical difference between the two is minimal.
-
October 26, 2025
Palestinian Authority President Mahmoud Abbas. (Wissam Khalifa, AFP / PPO)Palestinian Authority (PA) Chairman Mahmoud Abbas (Abu Mazen) issued a statement on Sunday outlining the succession process should the chairman’s position become vacant.
According to the Palestinian news agency Wafa, Deputy Chairman Hussein al-Sheikh will temporarily assume leadership of the PA in the absence of the Palestinian Legislative Council.
The decree stipulates that al-Sheikh’s interim term would last up to 90 days, during which direct elections must be held to select a new chairman, in accordance with Palestinian election law.
-
October 26, 2025
Israeli Prime Minister Benjamin Netanyahu delivers remarks at the start of the weekly Cabinet meeting in Jerusalem, Oct. 26, 2025. (photo: Kobi Gideon, GPO)Israeli Prime Minister Benjamin Netanyahu said on Sunday that Jerusalem will continue to determine its own security policies, including by setting red lines regarding the international forces that will be deployed to stabilize Gaza as part of U.S. President Donald Trump’s peace plan for the Strip.
“Israel will determine which forces are unacceptable to us—that is how we act and we will continue to act,” Netanyahu told fellow ministers at the start of the weekly Cabinet meeting in Jerusalem on Sunday.
“This, of course, is also acceptable to the United States, as its most senior representatives have stated in recent days,” Netanyahu stressed, adding: “Israel is an independent country. We will defend ourselves with our own strength, and we will continue to determine our own destiny.”
-
October 26, 2025
-
October 26, 2025
-
October 26, 2025
President Donald Trump, center, meets with Emir of Qatar Sheikh Tamim bin Hamad al-Thani, left, and Qatari Prime Minister and Foreign Minister Sheikh Mohammed bin Abdulrahman bin Jassim Al Thani aboard Air Force One at Al Udeid Air Base in Doha, Qatar, October 25, 2025. (AP/Mark Schiefelbein)US President Donald Trump issued fresh threats to Hamas on Saturday, saying the terror group would be to blame if the ceasefire collapsed, and repeating Israeli assertions that the group has been choosing not to hand over the bodies of some deceased hostages despite being able to.
He warned that he would be watching Hamas’s actions “very closely” over the next 48 hours.
Trump made the remarks in a social media post, and as he met Qatar’s emir and prime minister aboard Air Force One. The Gulf state served as a key mediator of the Israel-Hamas ceasefire deal that took effect earlier this month.
-
October 25, 2025
(screenshot: I24 News)Israeli Prime Minister Benjamin Netanyahu held a phone call with U.S. Secretary of State Marco Rubio on Saturday as the top U.S. diplomat concluded his brief visit to Israel.
They discussed the outcomes of the visit and reaffirmed "the deep and enduring partnership between Israel and the United States," according to a statement from Netanyahu's office.
Netanyahu thanked Secretary Rubio for his steadfast support and for his "commitment to strengthening the U.S.-Israel alliance during these challenging times."
-
October 25, 2025
Marco Rubio, the U.S. secretary of state, speaks to reporters in Jerusalem alongside Israeli Prime Minister Benjamin Netanyahu, Sept. 15, 2025. (photo: Freddie Everett, U.S. State Department)U.S. State Secretary Marco Rubio met in Jerusalem on Saturday with the families of the two Israeli-American hostages whose remains Hamas has not yet transferred to Israel as required by the first phase of the ceasefire agreement.
“We will not forget the lives of the hostages who died in the captivity of Hamas,” tweeted Rubio, who is on a visit to the Jewish state.
“Today I met with the families of American citizens Itay Chen and Omer Neutra. We will not rest until their—and all—remains are returned,” he vowed.
-
October 25, 2025
"Some of the bodies are hard to reach, but others they can return now and, for some reason, they are not. Perhaps it has to do with their disarming, but when I said, “Both sides would be treated fairly,” that only applies if they comply with their obligations," Trump wrote. "Let’s see what they do over the next 48 hours. I am watching this very closely."
-
October 25, 2025
-
October 24, 2025
US Secretary of State Marco Rubio speaks to the media at the Civil-Military Coordination Center for Gaza in southern Israel, October 24, 2025. (photo: Fadel Senna, Pool Photo via AP)US Secretary of State Marco Rubio, the latest top US official to visit Israel, said Friday that “there is no plan B” for Gaza, only US President Donald Trump’s broad peace plan, and that annexation of the West Bank by Israel would be “a threat to the peace process.”
Rubio said Israel has met its commitments under the first phase of 20-point Trump plan, which began with the ceasefire on October 10, and that Israel would have to be “comfortable” with the makeup of the international force that will enter Gaza in the second phase, which is still being hashed out.
Hamas will have to release the remains of deceased hostages and disarm, he said, adding that UNRWA, the UN agency for Palestinian refugees, will not be permitted to help deliver aid to Gaza because it is a “subsidiary” of the terror group.
-
October 24, 2025
-
October 24, 2025
A senior Saudi source said there was no intention to move toward normalization with the current Israeli government, following incendiary remarks by Finance Minister Bezalel Smotrich.
-
October 24, 2025
US President Donald Trump answers questions from reporters during a roundtable on criminal cartels in the State Dining Room of the White House, October 23, 2025, in Washington. (AP/Evan Vucci)US President Donald Trump on Thursday declared, “Israel is not going to do anything with the West Bank,” as officials from his administration leveled harsh criticism against Prime Minister Benjamin Netanyahu’s government after lawmakers advanced legislation to annex parts of the West Bank while Vice President JD Vance was visiting the country.
“Don’t worry about the West Bank,” Trump told reporters at the White House, in his first comments on the matter since the Knesset voted on the two bills Wednesday. “Don’t worry about it,” he repeated. “Israel’s doing very well. They’re not going to do anything with it.”
The measures were passed despite opposition from Netanyahu, in light of Trump’s vow last month that he would not allow Israel to make the controversial move.
-
October 23, 2025
Vance says that it is the policy of the Trump Administration is that the West Bank will not be annexed by Israel.
-
October 23, 2025
U.S. Secretary of State Marco Rubio meets Israeli Prime Minister Benjamin Netanyahu at the Prime Minister's Office in Jerusalem, Oct. 23, 2025. (photo: Haim Zach, GPO)U.S. Secretary of State Marco Rubio met with Israeli Prime Minister Benjamin Netanyahu at the Prime Minister’s Office in Jerusalem on Thursday night.
“Secretary Rubio, Marco, welcome again to Jerusalem,” Netanyahu told Washington’s top diplomat in brief remarks following their meeting.
“We’ve had incredible visits, first by President Trump in the Knesset, something that will be etched in our history. We had the vice president yesterday, we have you today—this is a circle of trust and partnership,” according to the premier.
-
October 23, 2025
(photos: Time & Flash90)
Israel will lose all support from the United States if it decides to annex the West Bank, US President Donald Trump told Time Magazine in an interview published Thursday afternoon.
"Israel would lose all of its support from the United States if that happened," he said. "It won't happen because I gave my word to the Arab countries."
Trump highlighted Arab support of the ceasefire deal, but explained that "if we didn't take [Iran] out, number one, we wouldn't have signed [the ceasefire deal], because there would have been many Arab countries that just could not have done that."
[Side note: It is not fully clear from the article on which date Trump gave the interview.]
-
October 22, 2025
Prime Minister Benjamin Netanyahu and US Vice President JD Vance. (photo: Marc Israel Sellem, The Jerusalem Post)US Vice President JD Vance stressed that the US does not want to control Israel during his meeting with Prime Minister Benjamin Netanyahu on Wednesday.
"Israel is not an American protectorate," Netanyahu stated, adding that the country would “have the final say regarding her security."
Vance's meeting with Netanyahu came as part of the US VP's schedule in Israel, and was centered around the “challenge of holding the ceasefire and rebuilding Gaza.”
-
October 22, 2025
-
October 22, 2025
A landscape in the Binyamin region of central Samaria. (photo: Akiva Van Koningsveld)Israeli lawmakers on Wednesday passed in preliminary reading two opposition bills to extend legal sovereignty to Judea and Samaria.
One bill, by Yisrael Beiteinu leader Avigdor Liberman, seeks to annex Ma’ale Adumim, a large city in the Judean Desert, while a second, by Noam Party head Avi Maoz, concerns all of Judea and Samaria.
The legislation will now be forwarded to the Knesset Foreign Affairs and Defense Committee for consideration ahead of three additional votes.
-
October 22, 2025

(photo: AP)
The Trump administration is reportedly planning for a visit to the United States by Saudi Crown Prince Mohammed bin Salman next month, a potential first state visit by a foreign leader during Trump’s second term, according to sources familiar with the arrangements told AP News.
Preparations are underway for a series of agreements that could be signed or witnessed by President Trump and the crown prince during the trip, officials said.
The visit is tentatively scheduled for November 17-19, though the timing and format of the trip remain subject to change.
-
October 22, 2025
-
October 21, 2025
(photo: Flash90)
Tzachi Hanegbi's tenure as National Security Council head ended after Prime Minister Benjamin Netanyahu informed him he would be appointing a new council head, Hanegbi said in a statement on Tuesday.
Netanyahu announced that he would appoint Deputy Head of the National Security Council, Gil Reich, to Acting Head of the National Security Council.
"I thanked the prime minister for the privilege of being a partner in shaping Israel’s foreign and security policy during challenging years, for the opportunity to express an independent position in sensitive discussions, and for the professional discourse we conducted even during times of disagreement," Hanegbi stated.
-
October 21, 2025

(photo: Nathan Howard-Pool, Getty Images)
U.S. Vice President JD Vance is “very optimistic” that the White House-brokered ceasefire deal between Israel and the Hamas terror organization will hold, the former Ohio senator said during a press conference in Israel on Tuesday.
“What we’ve seen in the past week gives me great optimism that the ceasefire is going to hold,” Vance said, on the day after a truce resumed in Gaza following Hamas’s attacks on Israeli troops and the Jewish state’s response.
The vice president, who said as recently as a few days ago that he wasn’t sure if he was going to visit Israel, said that his visit had nothing to do with events of the past 24 hours and had been planned for months.
He said that he “wanted to check in on things” and “see how things were going and put some eyes on it.”
-
October 20, 2025
U.S. President Donald Trump gestures during a meeting with Australia's Prime Minister Anthony Albanese in the Cabinet Room at the White House, in Washington, D.C., U.S., October 20, 2025. (photo: Kevin LaMarque, Reuters)US President Donald Trump said that Hamas's violation of the "ceasefire in Gaza would be taken care of quickly" in comments to the press on Monday.
"They’re going to be nice, and if they’re not... we're going to eradicate them if we have to," he said ahead of meetings with Australian Prime Minister Anthony Albanese. "They'll be eradicated — and they know that."
He added that at this time, he has not told Israel to resume strikes in Gaza and that the US was "taking lots of steps to maintain ceasefire."
-
October 20, 2025
The IDF's 13th Golani Battalion and 7th Armored Brigade withdraw from positions in Gaza back into Israel, Oct. 10, 2025. (photo: Oren Cohen, Flash90)Israel on Sunday night reaffirmed its commitment to the U.S.-brokered ceasefire in Gaza, which had been threatened after a series of Hamas attacks on IDF soldiers sparked military retaliation.
“In accordance with the directive of the political echelon, and following a series of significant strikes in response to Hamas’s violations, the [Israel Defense Forces] has begun the renewed enforcement of the ceasefire,” said the army.
“The IDF will continue to uphold the ceasefire agreement and will respond firmly to any violation,” the statement added.
U.S. President Donald Trump told reporters on Sunday evening that the incident would be handled “toughly but properly” and that the truce in the Strip remained in effect.
-
October 20, 2025
Benjamin Netanyahu at the Knesset. (photo: Chaim Goldberg, Flash90)Israeli Prime Minister Benjamin Netanyahu delivered a defiant speech Monday at the opening of the Knesset’s winter session, vowing to continue the war against Hamas while defending the ceasefire agreement linked to the release of hostages.
Netanyahu credited Israel’s military pressure for forcing Hamas to accept the current deal, claiming that the Israel Defense Forces’ advance “into the heart of Gaza City, the last stronghold of Hamas,” brought the group to the negotiating table.
“If I had listened to those who called to stop the war,” he said, “Israel would have suffered a crushing defeat, and the entire country would have gone up in nuclear smoke.”
Headline News
-
October 29, 2025
-
October 29, 2025
-
October 29, 2025
-
October 29, 2025
-
October 29, 2025
-
October 29, 2025
-
October 29, 2025
Israel News
-
October 29, 2025
-
October 29, 2025
-
October 29, 2025
-
October 29, 2025
-
October 29, 2025
-
October 29, 2025
-
October 29, 2025
White House News
-
October 29, 2025
-
October 29, 2025
-
October 29, 2025
-
October 29, 2025
-
October 29, 2025
-
October 29, 2025
-
October 29, 2025
Provocative Commentary
-
October 29, 2025
-
October 29, 2025
-
October 28, 2025
-
October 28, 2025
-
October 27, 2025
-
October 26, 2025
-
October 26, 2025
-
October 26, 2025
-
October 25, 2025
-
October 25, 2025
-
October 24, 2025
-
October 24, 2025
-
October 23, 2025
-
October 23, 2025
-
October 22, 2025

“The men who have done the most for God in this world have been early on their knees. He who fritters away the early morning, its opportunity and freshness, in other pursuits than seeking God will make poor headway seeking Him the rest of the day. If God is not first in our thoughts and efforts in the morning, He will be in the last place the remainder of the day.”
― E.M. Bounds
